Ants Extermination Quotes

Local Services

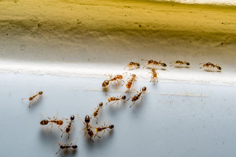
Ants Extermination Services in Brownsburg, IN for Effective Results

Choosing our ants extermination service in Brownsburg, IN, ensures a straightforward process and clear communication to effectively eliminate ants and restore comfort.

Brownsburg, IN
Expert ants extermination and related pest control services around Brownsburg, IN, ensure clear communication and practical results for a pest-free home.
Service Overview

Ants extermination services in Brownsburg, Indiana, are designed to help residents and property owners effectively manage and eliminate ant infestations. These services are requested when ants become a nuisance, threaten the comfort of indoor spaces, or pose potential health concerns. Whether ants are invading kitchens, nesting outdoors near homes, or spreading into other areas, professional extermination aims to restore a safe and comfortable environment. Addressing ant problems promptly can prevent larger infestations and reduce the risk of damage or contamination, making these services a practical choice for maintaining a pest-free home or business.

The approach to ant extermination emphasizes a quality mindset focused on thoroughness, clear communication, and a clean, unobtrusive process. The work is carried out with attention to detail to ensure that the treatment targets the entire colony while minimizing disruption to daily routines. Throughout the process, clients are kept informed about what to expect and how the work is progressing, fostering transparency and trust. The goal is to deliver a smooth experience that results in a clean and tidy space, with practical outcomes that help keep ants at bay without making unverified promises.

In addition to ant extermination, related pest control services are also available in Brownsburg, Indiana, to address a variety of common pests. These services are tailored to meet the needs of local residents and property owners, providing comprehensive solutions for pest management. Whether dealing with spiders, termites, or other household pests, the same commitment to quality, clear communication, and practical results applies. Choosing a local service provider familiar with Brownsburg’s environment can help ensure effective and reliable pest control solutions for the area.

Why Choose Us
  • Local Expertise - Ants Extermination Service in Brownsburg, IN offers tailored solutions that address the unique ant challenges of the local area.
  • Clear Communication - The service provides straightforward updates and guidance throughout the extermination process for peace of mind.
  • Practical Results - Focused on effective removal, the service aims to reduce ant activity and prevent future infestations.
  • Smooth Process - The team ensures a hassle-free experience with efficient scheduling and professional handling every step of the way.
Ants Extermination Service
Other Services We Can Help With

Explore additional local services in Brownsburg, IN, to ensure a smooth process and practical solutions for your needs.

  • Residential Pest Control - when ants invade living spaces, disrupting daily routines and comfort.
  • Home Inspection Services - to identify ant entry points and assess potential nesting areas around the property.
  • Pre-Construction Treatments - for new builds or renovations to prevent ant infestations from establishing.
  • Emergency Pest Removal - when ant problems escalate suddenly, requiring prompt attention to prevent further issues.
  • Sanitation and Debris Removal - to eliminate attractants that draw ants into homes in Brownsburg, IN.
  • Preventive Maintenance - to establish ongoing strategies that keep ant populations from returning to residential properties.
What To Expect

Ants extermination services in Brownsburg, Indiana, prioritize thorough planning to ensure the process addresses the specific needs of each property. Clients can expect a clear assessment of the ant problem, with a detailed explanation of the approach tailored to their situation. This careful planning helps create a straightforward experience, minimizing surprises and ensuring everyone involved understands what to expect from the beginning.

Clear communication is a cornerstone of working with this service. The scope of work is defined upfront, focusing on practical solutions that effectively target ant activity without unnecessary steps. Respectful jobsite habits are maintained throughout the process, with a focus on keeping the work area clean and unobtrusive. This approach ensures the extermination effort proceeds smoothly, with minimal disruption to daily routines.

The service emphasizes simplicity and transparency in every step. From initial consultation to completion, the process is designed to be straightforward and easy to follow. Practical outcomes-such as reducing ant populations and preventing future invasions-are prioritized to meet the expectations of homeowners and residents in Brownsburg. Choosing this service means working with a local team committed to clear, honest communication and effective, practical results.

FAQ

How does ants extermination work in Brownsburg, IN? The process involves identifying ant entry points and nesting areas, then applying targeted treatments to eliminate colonies and prevent future invasions, ensuring a thorough and effective solution.

Is the ant extermination process safe for my family and pets? Yes, the treatments used are selected to be safe for households while effectively controlling ant populations, with clear communication about any necessary precautions.

What should I do before an ant extermination service in Brownsburg? It's recommended to clear the affected areas of clutter and food items to allow access for treatment and to help achieve the best possible results.

How long does an ant extermination service typically take in Brownsburg? The duration varies depending on the extent of the infestation, but most treatments are completed efficiently to minimize disruption to your home.

Will I need to prepare my home after the extermination? Usually, no special preparation is needed afterward, but specific instructions may be provided to ensure the effectiveness of the treatment and safety.

How can I prevent future ant problems in Brownsburg, IN? Regular maintenance, sealing entry points, and keeping your property clean can help reduce the likelihood of future ant invasions, complementing professional extermination efforts.

Next Step

Choosing Ants Extermination Service in Brownsburg, Indiana, is a practical step toward effectively managing ant issues and protecting your property. The process is designed to be straightforward, with clear communication every step of the way to ensure expectations are met. Practical results, such as reducing ant activity and preventing future invasions, are the primary focus, helping homeowners and businesses regain peace of mind.

Starting here offers a reliable approach tailored to the needs of Brownsburg residents. With a focus on transparency and a smooth experience, this service provides a trusted solution for ant problems in Indiana. Contact today to take the next step toward a pest-free environment and enjoy the confidence that comes with choosing a dependable local service.

Our Trusted Partners
Groundworks
Acculevel